Ver todos
Olá! Informe seu nome e fone para iniciarmos o atendimento. 19:26
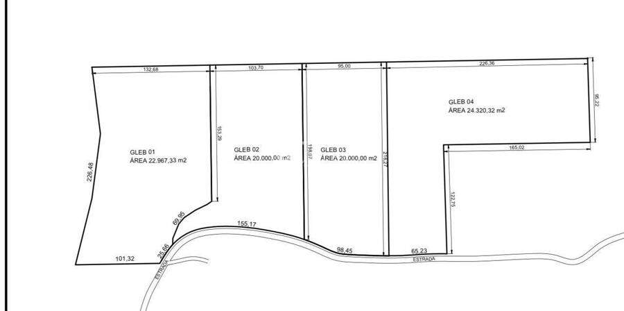
Área Total do Terreno 200.000,00m²
Área dividida em 04 lotes.
Lote 01: 22.967 m² - R$ 215.000,00Lote 02: 20.000 m² - R$ 215.000,00Lote 03: 20.000 m² - R$ 195.000,00Lote 04: 24.320 m² - R$ 195.000,00
*PODEM SER ESCRITURADOS*
Corretor(a):
Eliza Vieceli
Creci: 65014F
(54) 999014170
Usamos cookies para personalizar e melhorar a sua experiência. Ao navegar neste site, você concorda com a nossa Política de Privacidade.